ESA title
Plan view of Deuteronilus Mensae
Agency

Mantos de hielo fracturados en Marte

22/11/2019 589 views 10 likes
ESA / Space in Member States / Spain

Allí donde se unen los dos hemisferios marcianos, el planeta está cubierto de terreno fracturado, signo de que en el pasado lo recorrieron flujos lentos y continuos de material helado, horadando una red de valles, acantilados y aislados montículos rocosos.

Deuteronilus Mensae en contexto
Deuteronilus Mensae en contexto

Marte es un planeta dividido. Sus hemisferios son radicalmente distintos; las suaves depresiones del norte se encuentran hasta tres kilómetros más bajas que las irregulares tierras altas del sur, y la superficie de las regiones septentrionales parecen ser mucho más jóvenes que los viejos rastros del sur.

En los puntos donde convergen ambas regiones, en ocasiones se halla un área de transición llena de variados y enigmáticos patrones, formaciones y procesos geológicos, un tipo de paisaje único de Marte que se conoce como terreno desgastado. Este tipo de terreno se encuentra en un par de lugares clave del Planeta Rojo y en estas imágenes de la Cámara Estéreo de Alta Resolución (HRSC) de Mars Express podemos ver un ejemplo paradigmático: Deuteronilus Mensae.

Este paisaje muestra signos claros y extensos de una erosión significativa y prolongada. Como suele suceder en los terrenos desgastados, contiene una mezcla de acantilados, cañones, escarpas, montículos de fuertes pendientes y cimas planas (“mesas”), surcos, crestas fracturadas y mucho más, con algunos ejemplos claros en la imagen del artículo.

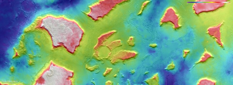
Vista topográfica de Deuteronilus Mensae
Vista topográfica de Deuteronilus Mensae

Estas formaciones se crearon a medida que el flujo de material iba atravesando el área, modificando el paisaje existente y excavando una red de intrincados canales. En el caso de Deuteronilus Mensae, es más que probable que el culpable fuera el hielo. Los científicos creen que este terreno ha experimentado una importante actividad glacial en numerosas épocas del pasado marciano.

Se cree que los glaciares fueron erosionando poco a poco las planicies y mesetas que en algún momento cubrieron esta región hasta dejar tras sí únicamente una serie de escarpados y llanos montículos de roca, aislados entre sí.

Vista en perspectiva de Deuteronilus Mensae
Vista en perspectiva de Deuteronilus Mensae

El suelo, por su parte, está cubierto de depósitos suaves, algunos de los cuales presentan patrones de flujo por el material que iba bajando lentamente: una mezcla de hielo y residuos que se iban acumulando para formar y alimentar caudales viscosos de masa, en cierto modo similares a los que se producen en caso de corrimientos de tierra o aludes de barro aquí en la Tierra.

Vista en perspectiva de Deuteronilus Mensae
Vista en perspectiva de Deuteronilus Mensae

Varios estudios de esta región efectuados por la sonda Mars Reconnaissance Orbiter de la NASA han mostrado que la mayoría de las formaciones que vemos aquí contienen en efecto altos niveles de hielo de agua. Se calcula que el contenido de hielo de ciertas formaciones glaciales de la región alcanzaría en torno al 90 %. Esto sugiere que, en lugar de albergar bolsas individuales u ocasionales de hielo y glaciares, Deuteronilus Mensae podría constituir en realidad los restos de un antiguo manto de hielo regional. Esta capa de hielo habría cubierto toda la zona en el pasado, por encima de planicies y mesetas. A medida que el clima marciano fue cambiando, este hielo comenzó a desplazarse y a desaparecer, revelando lentamente la roca que había debajo.

En general, las figuras que vemos en estas imágenes de Mars Express recuerdan a los glaciares cubiertos de roca y residuos en las regiones frías de la Tierra. Estos glaciares podrían ser relativamente comunes en Marte, tanto en el pasado como en el presente. Estudios recientes sugieren que el planeta podría contar con cinturones de actividad glacial por encima y por debajo de su ecuador, con enormes cantidades de hielo cubierto de gruesas capas de polvo que lo protegerían, mientras que muchas otras áreas presentan signos de haber albergado glaciares en el pasado, exactamente como Deuteronilus Mensae.

Deuteronilus Mensae en 3D
Deuteronilus Mensae en 3D

Mars Express lleva orbitando el Planeta Rojo desde 2003. Gracias a la cámara HRSC, con la que se obtuvieron estas nuevas imágenes, la misión ha estado cartografiando sin descanso la superficie marciana y ha permitido caracterizar varias propiedades y fenómenos clave en el planeta, desde la presencia de un sistema de aguas subterráneas de alcance planetario hasta intrincados sistemas de antiguos ríos, varios enigmáticos depósitos superficiales, gigantescas tormentas de polvo regionales, picos de gases indicadores en la atmósfera del planeta y mucho más.

La misión continuará explorando Marte junto con el Satélite para el estudio de Gases Traza de ExoMars, fruto de la cooperación entre la ESA y Roscosmos y que lleva orbitando el Planeta Rojo desde 2016, y la pareja formada por el róver Rosalind Franklin de ExoMars y su plataforma científica de superficie, cuyo amartizaje está previsto para 2021.

Related Links