ESA title
Envisatin ASAR-kuva öljytuhoalueesta.
Agency

Envisatin tutka näyttää Espanjan öljyvahingon laajuuden

21/11/2002 904 views 1 likes
ESA / Space in Member States / Finland

Espanjan rannikolla tiistaina uponneesta tankkerista pulppuava öljy on saavuttanut rannikon ja saastuttanut laajan alueen merta sekä rannikkoa. ESAn Envisat-ympäristötutkimussatelliitti on ottanut tarkkoja kuvia öljytuhoalueesta ja auttaa osaltaan puhdistustoimissa.

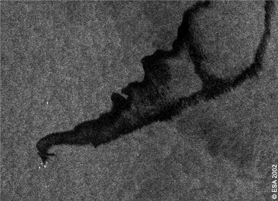
Tuhon aiheuttaja, 26-vuotias huonokuntoinen öljytankkeri Prestige, näkyy kuvassa selvänä vaaleana pisteenä noin 100 kilometrin päässä rannikolta, ja sen ympärillä olevat pelastusalukset ovat pieniä vaaleita pisteitä tankkerin vieressä. Kuva on otettu sunnuntaina 17. marraskuuta kello 12.45 Suomen aikaa, jolloin tankkeri oli vielä pinnalla yhtenä kappaleena. Laivasta rannikolle saakka ulottuva tumma soiromainen alue on puolestaan öljyä, joka levittäytyy mereltä Espanjan luoteisrannalle.

Kuva on otettu ESAn ASAR-tutkalla, joka kuvaa alla olevaa Maan pintaa mikroaaltojen aallonpituudella. Sen kuvan koko on noin 400 km x 400 km.

Toinen ASAR-kuva Espanjan rannikosta.
Toinen ASAR-kuva Espanjan rannikosta.

Onnettomuuspaikalla vallinneet voimakkaat tuulet ovat saaneet öljyn jakaantumaan siten, että öljyn kevyemmät ainekset ovat puhaltuneet pois, kun taas öljyn raskaammat osat liikkuvat veden pinnalla ja muodostavat varsinaisen öljylautan. Tuulet ja sen nostama aallokko saavat öljyn sekaantumaan myös meriveden kanssa, jolloin osa öljystä painuu pinnan alapuolelle, mistä sen havaitseminen on hankalaa.

Mikäli öljyä olisi päässyt mereen vähemmän, olisivat tuulet saaneet sen hajoamaan ja sekoittumaan meriveteen nopeastikin, jolloin öljyllä ei olisi ollut näin suurta tappavaa vaikutusta ympäristöön. Lehdistötietojen mukaan tähän mennessä yli 200 km Espanjan rannikkoa on öljylautan tahrimaa, minkä lisäksi musta mönjä tahmaa kalastajien verkot ja tuhoaa rannikkovesien kalakantaa.

Yksityiskohta ASAR-kuvasta.
Yksityiskohta ASAR-kuvasta.

Pitkä öljylautta kulkee tiheästi liikennöityjen laivareittien läpi, mikä näkyy hyvin myös kuvassa: lukuisat piennet valkoiset pisteet ovat reitillä kulkevia laivoja. Niiden jälkeensä jättämät aallot näkyvät hyvin vaaleina viivoina öljyn peittämässä mustassa merialueessa.

Öljy näkyy kuvissa mustana siitä syystä, että meren pinnalla oleva öljy vaimentaa pieniä tuulen aiheittamia aaltoja, jotka heijastavat hyvin tutkan lähettämää mikroaaltosäteilyä. Pienten aaltojen puuttuessa tutkasäteilyä ei palaudu satelliittiin juuri lainkaan, jolloin öljyn peittämä alue näkyy hyvin tummana alueena muutoin kuvissa vaaleana näyttäytyvän meren keskellä.

ASAR pystyy havaitsemaan säästä riippumatta, öin ja päivin.

Envisatin ASAR käyttää muiden avaruusaluksissa olevien tutkasysteemien tapaan näkyvän valon sijaan mikroaaltoja toimintaansa. Se lähettää kohti Maata tiiviin mikroaaltopulssin ja havaitsee takaisin heijastunutta säteilyä. Tämän ansiosta tutka pystyy toimimaan myös yöllä, ja koska mikroaallot menevät pilvien läpi, ei huono sääkään haittaa havaintojen tekemistä.

Ominaisuuksiensa vuoksi satelliittitutkat ovat erinomaisia välineitä onnettomuuksien seurannassa ja niiden lähettämiä tietoja voidaan käyttää pelastustoimien tukena. Vaikka onnettomuusalueella vallitsisi kuinka huono sää, voidaan esimerkiksi juuri öljylautan sijaintia ja leviämistä seurata hyvinkin tarkasti satelliittikuvista.

Ilmakuva öljytuhoalueesta; ilmasta tehdyt havainnot ovat tärkeitä, mutta kun lentokoneet joutuisivat pysymään maassa huonon sään vuoksi, pystyvät satelliitit kuvaamaan lauttaa.
Ilmakuva öljytuhoalueesta; ilmasta tehdyt havainnot ovat tärkeitä, mutta kun lentokoneet joutuisivat pysymään maassa huonon sään vuoksi, pystyvät satelliitit kuvaamaan lauttaa.

Envisatin ASAR-kuvat otettiin sunnuntaina osana ESAn hätätilanteita varten olevaa suunnitelmaa. Sen mukaisesti niin Envisat kuin ESAn vanhempi tutkalla varustettu satelliitti ERS-2 jatkavat öljyonnettomuuden seurantaa normaalin tutkimustyönsä ohessa (ja siltä myös aikaa ottaen) seuraavien viikkojen ajan.

Molemmat satelliitit ovat jatkuvassa valmiudessa onnettomuuksien varalta kansainvälisen onnettomuusseurantasopimuksen mukaisesti. Sopimuksen mukaan satelliitteja voidaan käyttää onnettomuuksien ja luonnonmullistusten seurantaan ja pelastustoimien tukemiseen riippumatta siitä, missä ne tapahtuvat.

Euroopan komission ympäristöonnettomuuksia ja väestönsuojelua hoitava yksikkö pyysi apua öljykatastrofin seurannassa 14. marraskuuta niin ESAlta kuin myös Kanadan avaruustoimistolta ja Ranskan avaruushallinnolta CNESiltä, joilla kummallakin on myös käytössään tutkalaittein varustettuja maanhavainnointisatelliitteja.

Suurtuhon mahdollisuus olemassa

Öljyn tahrimaa Arteixon rantaa luoteis-Espanjassa 17. marrakuuta.
Öljyn tahrimaa Arteixon rantaa luoteis-Espanjassa 17. marrakuuta.

Prestige-tankkeri joutui merihätään viime viikon keskiviikkona, jolloin noin 10 000 tonnia sen kaikkiaan 70 000 -tonnisesta öljykuormasta pääsi vuotamaan mereen. Toiset 10 000 tonnia vapautui mereen laivan katkeamisen ja uppoamisen yhteydessä, joten laivan tankeissa on edelleen noin 75% sen alkuperäisestä lastista.

Parhaassa tapauksessa laivan hylkyyn jäänyt öljy pysyy sen tankeissa tai vajoaa meren pohjaan. Jos sen sijaan öljy pääsee vapaaksi ja nousee pintaan, tulee onnettomuudesta arvioiden mukaan tuplasti suurempi kuin vuonna 1989 Alaskassa tapahtuneesta Exxon Valdezin onnettomuudesta. Alaskan luonto ei ole toipunut vieläkään tapauksen jäljiltä.

Envisat jatkaa alueen tarkkailua ja sen kuvista voidaan havaita hyvinkin nopeasti ja tarkasti pintaan mahdollisesti ilmestyvät öljylautat.

Related Links